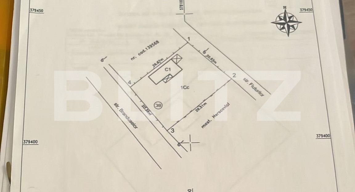
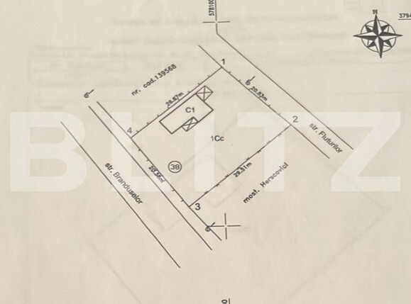
TEREN INTRAVILAN cu costructie pe teren La 2 km de Manastirea CRASNA
Oferta accesata nu mai este disponibilă.
Poți vedea oferte din aceeași categorie sau poți contacta agentul pentru o oferta personalizată.
VEZI OFERTE SIMILARE
4 €/mp – Teren agricol extravilan Puchenii Mari Prahova | parcele 0,25 –9 ha
Linkuri rapide filtrate după cele mai căutate zone și numărul de camere
Anunță-mă când scade prețul
Trimite oferta de preț
Suprafață: 600 mp
Front: 15-30 ml
Utilități: Apă, Gaz, Curent, Canalizare
Destinație: Casă/Duplex, Birouri/Clinică
Link-uri utile
Linkuri rapide filtrate după cele mai căutate zone și numărul de camere