blitz logo
favorites

black arrow right Oferta accesata nu mai este disponibilă.

Poți vedea oferte din aceeași categorie sau poți contacta agentul pentru o oferta personalizată.

VEZI OFERTE SIMILARE

LINK-URI UTILE

Linkuri rapide filtrate după cele mai căutate zone și numărul de camere

Terenuri de vânzareTerenuri de vânzare Giroc
Teren de vânzare Giroc - 123056TV | BLITZ Timișoara | Poza1
Teren de vânzare Giroc - 123056TV | BLITZ Timișoara | Poza1
Teren de vânzare Giroc - 123056TV | BLITZ Timișoara | Poza1

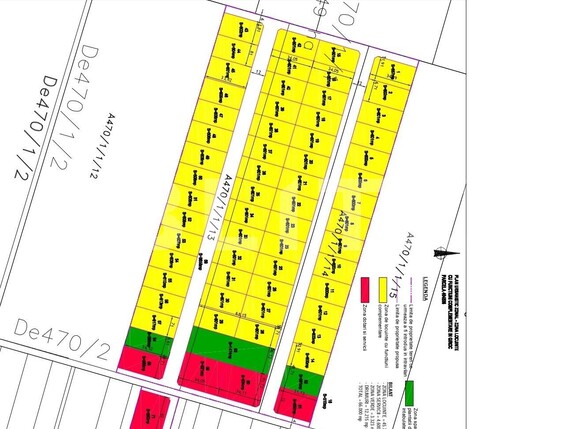
Teren, suprafata 55.300 mp, PUZ in lucru, Giroc

ID: BLITZ 123056TV

Cartier: Giroc

Preț/mp: 10 €

Actualizat: 08.05.2024

Agent

Nicolae Jumanca

Franchise Sales Manager

Acest anunț este verificat de către agent

Te interesează ofertă? Programează o vizionare!
Vă rugăm să completați chenarul cu informațiile cerute pentru a continua

550.000

Trimite ofertă de preț

Acest anunț este verificat de către agent

  €

Suprafață: 55300 mp

Front: peste 50ml

Utilități: Utilități în zonă

Destinație: Rezidențială

Acte/Avize: PUZ

Alte criterii: Drum asfaltat

Blitz va propune spre achiztie teren cu PUZ in lucru pentru ansamblu rezidential apartamente si case in suprafata de 55.300 mp localizat in Giroc.

Agent

Nicolae Jumanca

Franchise Sales Manager

Oportunitate de pret ! Revanzare sau dezvoltare rezidentiala.

Link-uri utile

Linkuri rapide filtrate după cele mai căutate zone și numărul de camere

black friday
Sună acum
Inchide
X

Te interesează terenuri de vânzare în Timișoara?

Lasă-ne datele tale de contact şi te vom consilia în alegerea proprietăţii potrivite!

Inchide
X

Te interesează terenuri de vânzare în Timișoara?

Lasă-ne datele tale de contact şi te vom consilia în alegerea proprietăţii potrivite!