blitz logo
favorites
Teren de vânzare Bariera Valcii - 184794TV | BLITZ Craiova | Poza1
Teren de vânzare Bariera Valcii - 184794TV | BLITZ Craiova | Poza1
Teren de vânzare Bariera Valcii - 184794TV | BLITZ Craiova | Poza1

Teren 1135 mp Bariera Valcii, aproape de Bordei, ideal constructii rezidentiale

ID: BLITZ 184794TV

Cartier: Bariera Valcii

Preț/mp: 154 €

Actualizat: 08.05.2026

Agent

Catalin Urziceanu

Broker Partner

Te interesează ofertă? Programează o vizionare!
Vă rugăm să completați chenarul cu informațiile cerute pentru a continua

175.000

Trimite ofertă de preț

Acest anunț este verificat de către agent

  €

Suprafață: 1135 mp

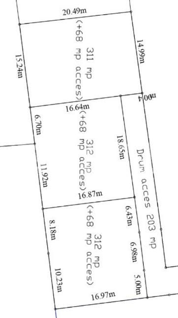
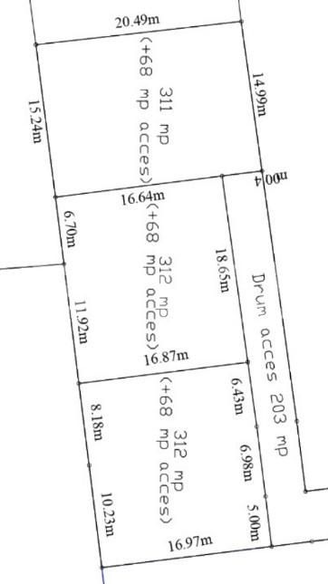
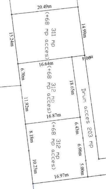
Blitz va propune spre vanzare un teren cu suprafata totala de 1135 mp, situat in zona Bariera Valcii, in proximitatea cartierului Bordei, intr-o zona apreciata pentru dezvoltari rezidentiale.
Terenul beneficiaza de plan de parcelare deja realizat, fiind impartit in 3 loturi cu suprafete de 311 mp, 312 mp si 312 mp, plus aproximativ 200 mp alocati drumului de acces. Utilitatile sunt disponibile la drum, facilitand racordarea rapida.
Zona este buna, cu constructii noi in vecinatate, acces facil si pozitionare avantajoasa, departe de termocentrala. Proprietatea este potrivita atat pentru constructia unei locuinte individuale, cat si pentru dezvoltare rezidentiala pe mai multe loturi.
Cod ofertă / ID BLITZ: P160927

Agent

Catalin Urziceanu

Broker Partner

Evoluție Indice Blitz:

  • Cartier: Bariera Valcii

Link-uri utile

Linkuri rapide filtrate după cele mai căutate zone și numărul de camere

black friday
Sună acum
Inchide
X

Te interesează terenuri de vânzare în Craiova?

Lasă-ne datele tale de contact şi te vom consilia în alegerea proprietăţii potrivite!

Inchide
X

Te interesează terenuri de vânzare în Craiova?

Lasă-ne datele tale de contact şi te vom consilia în alegerea proprietăţii potrivite!