blitz logo
favorites

black arrow right Oferta accesata nu mai este disponibilă.

Poți vedea oferte din aceeași categorie sau poți contacta agentul pentru o oferta personalizată.

VEZI OFERTE SIMILARE

LINK-URI UTILE

Linkuri rapide filtrate după cele mai căutate zone și numărul de camere

Terenuri de vânzareTerenuri de vânzare Aeroport
Teren de vânzare Aeroport - 171884TV | BLITZ Craiova | Poza1
Teren de vânzare Aeroport - 171884TV | BLITZ Craiova | Poza1
Teren de vânzare Aeroport - 171884TV | BLITZ Craiova | Poza1

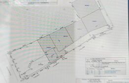
Teren intravilan de 10.018 mp, zona Aeroport/Ghercesti

ID: BLITZ 171884TV

Cartier: Aeroport

Preț/mp: 22 €

Actualizat: 16.03.2026

Agent

Alin Banita

Specialist Broker Partner

Te interesează ofertă? Programează o vizionare!
Vă rugăm să completați chenarul cu informațiile cerute pentru a continua

217.000225.000 € (- 8.000 € )

Trimite ofertă de preț

Acest anunț este verificat de către agent

  €

Suprafață: 10018 mp

Blitz va propune spre achizitie un teren cu suprafata de 10.018 mp, in zona Aeroport Ghercesti, cu acces direct din strada Aeroportului. Terenul este perfect pentru investitie, este intr o zona rezidentiala, are o deschidere la strada de 22 ml, din care suprafata aferenta deschiderii de 4 ml este deja dezmembrata iar impreuna cu acceasi suprafata a vecinilor, formeaza o alee care permite dezmembracea terenului in mai multe parcele. Toate utilitatile sunt la front, zona este una in continua dezvoltare, accesul este facil, exista mijloace de transport in comun si magazine in imediata apropiere, factori care fac din acest teren sa fie o oportunitatea de investitie. Pentru si mai multe detalii v a asteptam la vizionare!
Cod ofertă / ID BLITZ: P146830

Agent

Alin Banita

Specialist Broker Partner

Link-uri utile

Linkuri rapide filtrate după cele mai căutate zone și numărul de camere

black friday
Sună acum
Inchide
X

Te interesează terenuri de vânzare în Craiova?

Lasă-ne datele tale de contact şi te vom consilia în alegerea proprietăţii potrivite!

Inchide
X

Te interesează terenuri de vânzare în Craiova?

Lasă-ne datele tale de contact şi te vom consilia în alegerea proprietăţii potrivite!