blitz logo
favorites

black arrow right Oferta accesata nu mai este disponibilă.

Poți vedea oferte din aceeași categorie sau poți contacta agentul pentru o oferta personalizată.

VEZI OFERTE SIMILARE

LINK-URI UTILE

Linkuri rapide filtrate după cele mai căutate zone și numărul de camere

Terenuri de vânzareTerenuri de vânzare Bună ZiuaTerenuri de vânzare Bună Ziua, zona Fagului
Teren de vânzare Bună Ziua - 22671TV | BLITZ Cluj-Napoca | Poza1
Teren de vânzare Bună Ziua - 22671TV | BLITZ Cluj-Napoca | Poza1
Teren de vânzare Bună Ziua - 22671TV | BLITZ Cluj-Napoca | Poza1

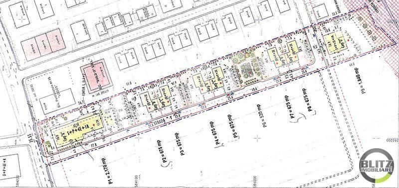
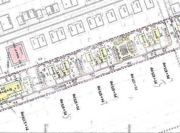
Teren intravilan 5000 mp, utilitati la front, zona linistita

ID: BLITZ 22671TV

Cartier: Bună Ziua

Preț/mp: 540 €

Actualizat: 20.06.2018

Zona: Fagului
Agent

    Acest anunț este verificat de către agent

    Te interesează ofertă? Programează o vizionare!
    Vă rugăm să completați chenarul cu informațiile cerute pentru a continua

    2.700.000

    Trimite ofertă de preț

    Acest anunț este verificat de către agent

      €

    Suprafață: 5000 mp

    Front: 30-50 ml

    Utilități: Apă, Gaz, Curent, Canalizare

    Destinație: Bloc

    Acte/Avize: PUD, PUZ

    Alte criterii: Drum asfaltat

    Teren intravilan de vanzare situat in cartierul Buna Ziua, intr-o zona rezidentiala de case, in curs de dezvoltare. Terenul are o suprafata de 5000 mp cu un front stradal de 35,5 ml. Terenul se preteaza pentru constructii blocuri P+2.
    Dispune de PUZ si PUD. Conform PUZ vor rezulta 9200 mp construiti in aproximativ 115 apartamente plus spatii comerciale.
    Utilitatile precum, apa, gazul, curentul, canalizarea sunt la frontul terenului.

    Agent

    Teren potrivit pentru investitii, pentru blocuri cu regim mic de inaltime.

    Link-uri utile

    Linkuri rapide filtrate după cele mai căutate zone și numărul de camere

    black friday
    Sună acum
    Inchide
    X

    Te interesează terenuri de vânzare în Cluj-Napoca?

    Lasă-ne datele tale de contact şi te vom consilia în alegerea proprietăţii potrivite!

    Inchide
    X

    Te interesează terenuri de vânzare în Cluj-Napoca?

    Lasă-ne datele tale de contact şi te vom consilia în alegerea proprietăţii potrivite!